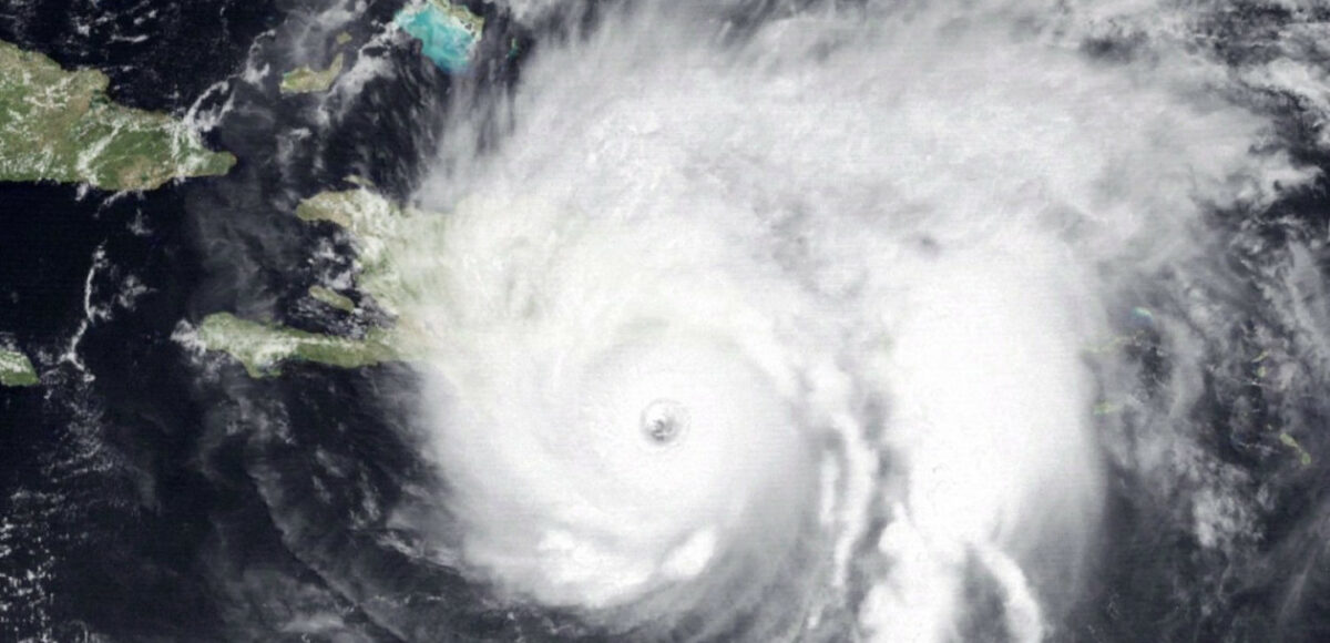
Ο εξαιρετικά ισχυρός τυφώνας Melissa, ο οποίος απειλεί να προκαλέσει καταστροφικές πλημμύρες στη βόρεια Καραϊβική ενδέχεται να ενταθεί περαιτέρω προτού χτυπήσει τις ακτές της Τζαμάικα σε κατηγορία 5, την υψηλότερη της κλίμακας, σύμφωνα με τους μετεωρολόγους του Εθνικού Κέντρου Τυφώνων των ΗΠΑ.
Ο τυφώνας Melissa έχει ήδη χτυπήσει την Αϊτή και τη Δομινικανή Δημοκρατία. Αναμένεται να φτάσει στη νότια ακτή της Τζαμάικα αργά το βράδυ της Δευτέρας ή νωρίς το πρωί της Τρίτης, και οι κάτοικοι του νησιού έχουν προειδοποιηθεί να αναζητήσουν άμεσα καταφύγιο.
«Καλώ τους Τζαμαϊκανούς να λάβουν σοβαρά υπόψη αυτή την απειλή», δήλωσε ο πρωθυπουργός της Τζαμάικα, Άντριου Χόλνες. «Λάβετε όλα τα απαραίτητα μέτρα για να προστατευτείτε», προειδοποίησε.
Ο τυφώνας αναμένεται να φέρει καταρρακτώδεις βροχές έως και 64 εκατοστά όταν χτυπήσει την Τζαμάικα. Παρόμοια πρόγνωση εκδόθηκε για τις νότιες περιοχές της Αϊτής και της Δομινικανής Δημοκρατίας μέχρι τη Δευτέρα.

NOAA
Το βράδυ του Σαββάτου, η Melissa βρισκόταν περίπου 200 χιλιόμετρα νοτιοανατολικά του Κίνγκστον της Τζαμάικας και περίπου 455 χιλιόμετρα νοτιοδυτικά του Πορτ-ο-Πρενς της Αϊτής. Είχε μέγιστη ταχύτητα ανέμου 185 χιλιόμετρα την ώρα και κινούνταν προς τα δυτικά με ταχύτητα 6 χιλιόμετρα την ώρα, σύμφωνα με το κέντρο τυφώνων.
Η καταιγίδα έχει σκοτώσει τουλάχιστον τρεις ανθρώπους στην Αϊτή και έναν τέταρτο στη Δομινικανή Δημοκρατία.

REUTERS/Eddy Vittini
Στο Les Cayes της Αϊτής, οι κάτοικοι δήλωσαν ότι οι επιπτώσεις της Melissa ήταν καταστροφικές.
«Η θάλασσα πήρε το σπίτι μας. Δεν έχουμε πού να μείνουμε. Ήρθαμε στο γυμνάσιο, αλλά δεν έχουμε τίποτα να δώσουμε στα παιδιά να φάνε. Ζητάμε βοήθεια και υποστήριξη. Δεν ζητάμε πολλά», είπε μια γυναίκα, που δεν θέλησε να δώσει το όνομά της, στο πρακτορείο ειδήσεων AP.
Κλειστό το κεντρικό αεροδρόμιο της χώρας
Οι αρχές της Τζαμάικα ανακοίνωσαν ότι το Διεθνές Αεροδρόμιο Norman Manley στο Κίνγκστον θα κλείσει στις 8 μ.μ. τοπική ώρα την Κυριακή. Δεν ανέφεραν αν θα κλείσει και το αεροδρόμιο Sangster στο Μοντέγκο Μπέι, στη δυτική πλευρά του νησιού.
Πάνω από 650 καταφύγια έχουν δημιουργηθεί στην Τζαμάικα. Οι αρχές δήλωσαν ότι οι αποθήκες σε όλο το νησί είναι καλά εφοδιασμένες και ότι χιλιάδες πακέτα τροφίμων έχουν ήδη τοποθετηθεί για γρήγορη διανομή, αν χρειαστεί.
«Θα ήθελα λοιπόν να παροτρύνω όλους τους συμπολίτες μου, όλους όσους αισθάνονται τώρα νευρικοί, ανήσυχοι, αβέβαιοι, ότι τώρα είναι η ώρα να προετοιμαστούν», δήλωσε ο πρωθυπουργός της χώρας.
Η κουβανική κυβέρνηση εξέδωσε το Σάββατο προειδοποίηση για τυφώνα στις επαρχίες Granma, Santiago de Cuba, Guantanamo και Holguin.
Σύμφωνα με εικόνες της κουβανικής κρατικής τηλεόρασης, πραγματοποιούνται εργασίες καθαρισμού και απολύμανσης των σπιτιών για την πρόληψη της εξάπλωσης επιδημιών.
*Με πληροφορίες από Sky News